Casablanca : un troisième casier pour la décharge de Médiouna, le blocage sur l’usine de valorisation persiste
La SDL Casa Baiaa a lancé un nouveau marché relatif à la réalisation des travaux d’aménagement de l’extension des casiers de la décharge contrôlée de Médiouna. Il s’agit du troisième casier de cette décharge.
Le lancement de cet appel d’offres démontre que le blocage persiste quant au dossier relatif à la mise en place de l’usine de valorisation des déchets.
Lors de l’ouverture de la nouvelle décharge contrôlée en novembre 2021, la commune de Casablanca s’était engagée à la fermer trois ans après, estimant que son casier de 11 ha ne pouvait être exploité plus longtemps.
En juin 2022, un appel d’offres avait été lancé pour doter la décharge d’un second casier , le casier initial étant quasiment plein. Le casier objet du marché qui vient d'être lancé est le troisième de la décharge.
L’aménagement de l’extension des deux casiers existants traduit le retard du projet de mise en place de l’usine d’enfouissement et de valorisation des déchets, prévu pour début 2025.
7,5 hectares supplémentaires
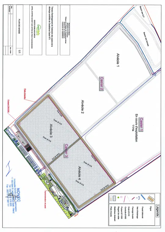
Le coût de réalisation de ce nouveau casier, d’une surface de 7,5 ha subdivisée en deux alvéoles, est estimé à 31,5 millions de DH (31.182.862,97 DH). Le délai de son aménagement est fixé à six mois et l’ouverture des plis est prévue pour le 23 novembre prochain.
Les travaux d’aménagement de ce nouveau casier portent notamment sur :
- Le raccordement (soudure) du nouveau dispositif d’étanchéité de l’extension à celui des casiers en cours d’exploitation :
- Le raccordement du réseau de drainage des lixiviats à la bâche de lixiviats ;
- La mise en place d’un réseau de gestion des eaux pluviales ;
- L’aménagement de la voie périphérique d’accès au casier ;
- La fourniture et la mise en place de projecteurs d’éclairage du casier d’extension n°3.
Plan du troisième casier de la décharge contrôlée
Un dossier politisé
Le projet de réalisation de l’usine d’enfouissement et de valorisation de déchets de Médiouna a suscité un long débat lors de la dernière session ordinaire du Conseil régional de Casablanca-Settat, tenue début octobre. Il y avait eu plusieurs passages critiques d’élus de la majorité, notamment du PAM et de la province de Médiouna, qui avaient dénoncé le fait que la province a toujours été désignée pour accueillir ce genre de projets, mais aussi le flou qui persiste autour du foncier qui devra abriter cette usine.
En effet, dans un courrier adressé en mai 2023 à la maire de Casablanca, le ministère de l’Intérieur l’avait informée que la commune d’Al Majjatia Oulad Taleb ne pouvait accueillir le futur ce futur centre d’enfouissement et de valorisation des déchets car il ne correspondait pas aux orientations du plan d’aménagement de celle-ci, adopté en 2019.
Pour apaiser les tensions, Abdellatif Maâzouz, président de la région, avait alors suspendu la session pour se réunir avec les membres du conseil. A sa reprise, il avait annoncé avoir trouvé un arrangement avec les élus. Il a ainsi été décidé d’ajouter deux conditions au déblocage de la participation de la région à ce projet :
- Le foncier doit d’abord être identifié ;
- Le centre d’enfouissement et de valorisation des déchets peut être construit dans la province de Médiouna ou toute autre province du Grand Casablanca.
La convention relative à la réalisation de cette usine a par la suite été adoptée par le Conseil régional, après son adoption par le Conseil de la ville de Casablanca, mais le blocage semble persister, retardant ainsi sa mise en œuvre.
Pour éviter de se retrouver avec des montagnes de déchets, comme ce fut le cas dans l’ancienne décharge sauvage, la SDL lance alors le présent appel d’offres.
LIRE AUSSI
À Casablanca, adoption de la convention sur les déchets, mais sera-t-elle appliquée de sitôt ?
À découvrir
à lire aussi
Article : Dakhla: 500 MW green data center megaproject launched to bolster Morocco’s digital sovereignty
An agreement between several public institutions launches the studies that will define the program’s economic model, governance, and financing arrangements.
Article : Olive : Kamal Ben Khaled élu à l’unanimité à la tête d’Interprolive
Kamal Ben Khaled a été élu à l’unanimité président de l’Interprofession marocaine de l’olive (Interprolive), à l’issue des travaux du conseil d’administration tenu le mercredi 15 avril 2026, ouvrant une nouvelle phase pour l’organisation dans un contexte marqué par les défis économiques et climatiques de la filière.
Article : Football. Ayyoub Bouaddi, l’ascension d’un prodige discret
Phénomène de précocité, le milieu de terrain d’origine marocaine brille par la maturité de ses prestations qui le rendent quasiment indispensable à l’entrejeu lillois. Son profil box-to-box serait un atout de poids pour les Lions de l’Atlas en vue des prochaines échéances.
Article : Le groupe polonais KGHM oriente ses investissements miniers vers le Maroc et l'Europe
Le groupe minier polonais KGHM Polska Miedź S.A. oriente ses investissements vers le Maroc et l’Europe, confirmant l’intérêt stratégique croissant pour le Royaume, selon une annonce de l’ambassade de Pologne et des déclarations à Reuters.
Article : Casabus : des bus jusqu’à 22 h sur 14 lignes à Casablanca dès le 20 avril 2026
À compter du 20 avril 2026, le réseau de Casabus étend ses horaires en soirée sur plusieurs lignes clés, avec un dernier départ à 22 h, pour offrir un service mieux adapté aux déplacements du quotidien et plus accessible aux Casablancaises et aux Casablancais.
Article : Charbon de bois : jusqu’à 15 DH le kilo à l’approche de Aïd al-Adha, la flambée se confirme
Les prix du charbon de bois connaissent une hausse progressive depuis quelque temps. À l’approche de Aïd al-Adha, les tensions s’accentuent entre une demande saisonnièrement élevée et une offre encadrée. Selon l’Agence nationale des eaux et forêts, la lutte contre l’informel réduit, à court terme, les volumes disponibles sur le marché.
